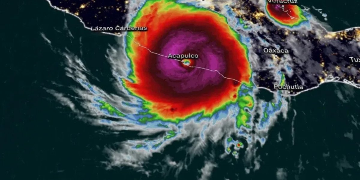
Furacão Otis atinge o México com ventos de 265km/h
Fenômeno atingiu a cidade de Acapulco na madrugada desta quarta-feira(25)

Foto: Reprodução
Na madrugada desta quarta-feira(25). o Furacão Otis atingiu a costa do México, mais precisamente a cidade de Acapulco, com ventos que chegaram até 265km/h.
O fenômeno tem categoria 5 e preocupou os meteorologistas, que o classificaram como “cenário de pesadelo”, para a costa mexicana, ameaçando causar catástrofes com ventos destrutivos, chuvas fortes e tempestades.
Segundo a Central Nacional de Furacões dos Estados Unidos, o centro do Otis atingiu Acapulco às 00:25, do horário local, com ventos de até 265km/h. Poucas horas depois, os ventos diminuíram para 210 km/h.
A tempestade avançou para o interior do México, e deve se dissipar na noite de hoje(25/10).
Varela Net agora mais perto de você: receba as notícias em tempo real no seu WhatsApp clicando aqui.


